元朗住宅地申寬高限建1035伙
更新時間:15:57 2026-04-17 HKT
發佈時間:15:57 2026-04-17 HKT
發佈時間:15:57 2026-04-17 HKT
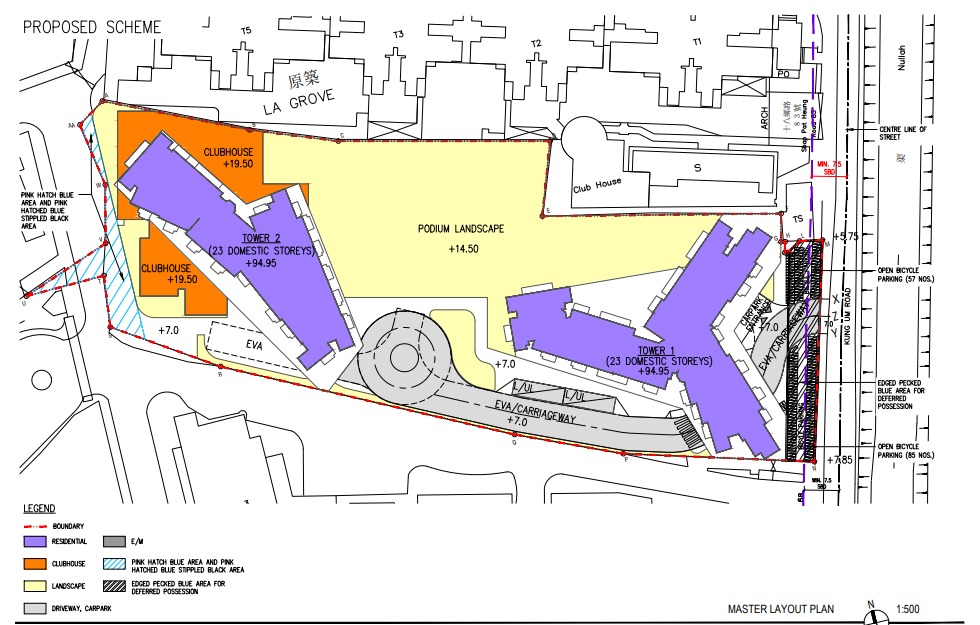
政府去年放寬地面建停車場樓面豁免實施,最新有財團就持有的元朗公庵路一幅住宅地,即毗鄰私樓原築及溱柏之間,因應相關措施而向城規會申請放寬高限,以將地庫車場改在地面發展,以興建2幢住宅,共提供1,035伙,涉及可建總樓面約44.32萬方呎。


地盤面積約88,642方呎,包括19,095方呎政府土地,以地積比率約5倍發展,申請放寬增加2.5米高限至主水平基準上94.95米,以興建2幢樓高26層(包括3層平台)的分層住宅,以提供1035伙,平均每戶單位面積約428方呎,估計住客數目2,691人,涉及可建總樓面約443,208方呎,整個項目料於2030年落成。

申請人指,涉及將原先位於地庫的一層地下停車場在地面以上設置,以致建築 物地面以上的高度需要增加一層,超出「住宅(甲類)1」地帶在規劃大綱草圖 所容許的25層(不包括地下層)的建築物高度限制。因此,建築物的高度限制需 要對作出輕微放寬。

















