【山竹撲近】升格「5級颶風」風速達278公里 或風眼置換再迎巔峰
更新時間:17:10 2018-09-12 HKT
發佈時間:16:28 2018-09-12 HKT
發佈時間:16:28 2018-09-12 HKT

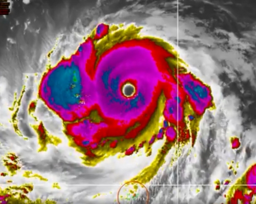
美軍的聯合颱風警報中心已經將「山竹」評定為「5級颶風」,依美國採用的1分鐘平均風力標準,中心風力達到每小時150海里(時速約278 公里),比目前大西洋海面上的4級颶風「佛羅倫斯」的120海里(時速約222公里)還要高出一大截。聯合颱風警報中心預計,「山竹」強度將會再稍為提升。
而内地中央氣象台表示,超強颱風「山竹」下午2時距離菲律賓馬尼拉偏東方向約1530公里,中心風力達約234公里,七級風圈半徑東北方向380公里,十級風圈半徑東北方向140公里,十二級風圈半徑東北方向80公里。將以每小時21公里左右的速度向偏西方向移動,強度還將略有加強。
眼牆置換循環是指熱帶氣旋舊風眼被新風眼取代的複雜過程。週期開始時一個環型的密集對流區首先在眼壁外發展,繼而向內移動,以至出現雙重眼壁結構。其後內眼壁最終消散,外眼壁則增強並向內移動。通常比較強的熱帶氣旋才會出現眼牆置換,眼牆置換過程發生時,風暴強度會下降,置換過程結束後,會重新增強。


最Hit
長生津覆檢開始!長者注意紫色通知書 未如期申報或被暫停津貼( 附最新資產限額+填表須知)
2026-04-03 19:21 HKT
網傳瀋陽爆隨機斬殺案致多人亡 無頭軀體倒街頭
11小時前
在職家庭津貼2026/27|4月上調入息資產限額 申請資格/津貼金額/一次性額外款項一文睇清
2026-04-04 11:53 HKT
六合彩|8000萬復活節金多寶攪珠結果 頭獎一注中幸運兒擸8114萬 齊來對冧巴 !
2026-04-04 21:33 HKT

















