啟德站廣場設計現雛形 設單車區草地滾球場
更新時間:11:42 2017-02-23 HKT
發佈時間:11:04 2017-02-23 HKT
發佈時間:11:04 2017-02-23 HKT
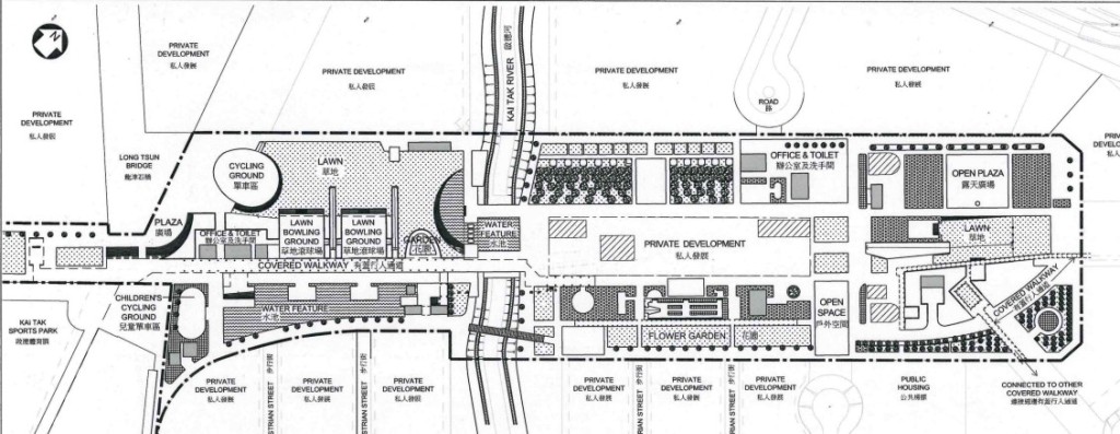
港鐵沙中綫預料將於2019年通車,沙中綫啟德車站上方的車站亦有初步設計,佔地12公頃的車站廣場由兩部分組成,包括西面接近啟德體育園的部分,以及東面港鐵沙中綫部分,廣場設有單車徑、寵物公園以及有蓋行人道貫穿廣場東西面。
建築署和康文署提交海濱事務委員會的文件顯示,廣場的西面設有兩個草地滾球場、緩跑徑以及單車區等,連接啟德單車網絡;而東面則設有具藝術元素例如雕塑及壁畫的地標,當局計劃將車站廣場打造成充滿活力和方便的港口,成為啟德發展區的心臟地帶。

啟德站廣場設計現雛形,以東西兩部分組成。建築署圖片
建築署和康文署提交海濱事務委員會的文件顯示,廣場的西面設有兩個草地滾球場、緩跑徑以及單車區等,連接啟德單車網絡;而東面則設有具藝術元素例如雕塑及壁畫的地標,當局計劃將車站廣場打造成充滿活力和方便的港口,成為啟德發展區的心臟地帶。


















