【劲过山竹】「玉兔」势成今年风王 3成机会趋南海变数仍大
更新时间:19:19 2018-10-25 HKT
发布时间:19:15 2018-10-25 HKT
发布时间:19:15 2018-10-25 HKT

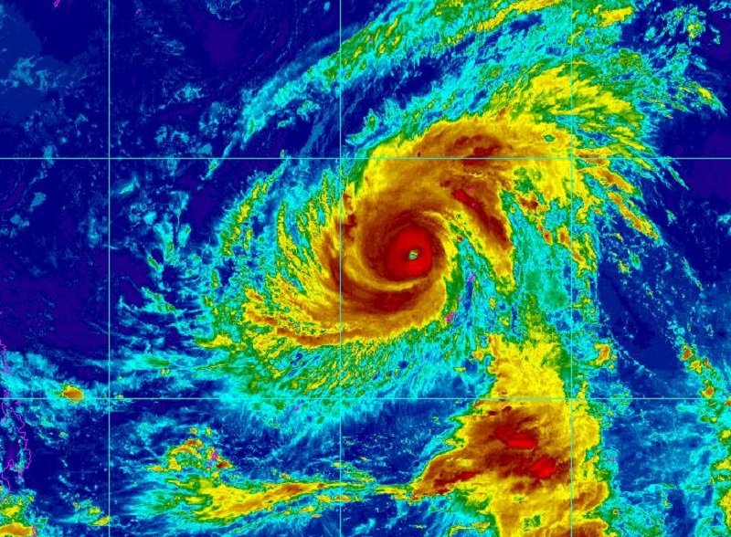
天文台表示,在下午4时,超强台风玉兔集结在关岛之西北约350公里,预料向西北偏西移动,时速约18公里,横过西北太平洋,大致移向吕宋以东海域。
根据天文台未来9天路径概率预测图显示,「玉兔」估计有4至5成机会靠近菲律宾以东海域,但之后走势明显分歧,有2成至3成机会向西横过菲律宾吕宋岛进入南海,但也有2成至3成机会向掉头转东北趋向太平洋;而趋向香港的机会暂时少于1成。
天文台在Facebook专页指,位于关岛附近的超强台风「玉兔」会在未来数天向偏西方向移动,横过西北太平洋,大致移向吕宋以东海域。根据路径概率预测图,「玉兔」在下周初的路径存在变数,可能会较早转向东北方向移动,但亦有可能进入南海北部。下星期打算到日本或台湾的朋友请特别留意「玉兔」的动向。
由于不同地区气象部门会有不同的计算标准及评级,所以估算的风速会有差距。内地中央气象台、日本气象厅的评级已经超越「山竹」;美国联合台风警报中心、台湾中央气象局是追平「山竹」;而香港天文台的暂时评定是稍低过「山竹」,但预计会超越「山竹」。
| 气象机构 | 玉兔暂时最高强度 | 山竹的巅峰强度 |
| 香港天文台 | 时速240公里(预测达时速260公里) | 时速250公里 |
| 联合台风警报中心 | 155海里(时速约287公里) | 155海里(时速约287公里) |
| 日本气象厅 | 115海里(时速约213公里) | 110海里(时速约204 公里) |
| 内地中央气象台 | 每秒72米(时速约259公里) | 每秒65米(时速约234 公里) |
| 台湾中央气象局 | 每秒60米(时速约216公里) | 每秒60米(时速约216公里) |
准备去旅行的市民要留意,根据美国联合台风警报中心资料制作的120小时烈风概率图显示,目前预测菲律宾北部、台湾、 冲绳只有2至3成机会吹烈风,机会仍偏低,但不能掉以轻心。
建立时间:1515
更新时间:1918






















